Skip to main content
U.S. flag

An official website of the United States government

Here’s how you know

Dot gov

Official websites use .gov
A .gov website belongs to an official government organization in the United States.

HTTPS

Secure .gov websites use HTTPS
A lock (LockA locked padlock) or https:// means you have safely connected to the .gov website. Share sensitive information only on official, secure websites.

  • Environmental Topics
  • Laws & Regulations
  • Report a Violation
  • About EPA
Contact Us

Grantee Research Project Results

2005 Progress Report: Short-term Chronic Toxicity of Photocatalytic Nanoparticles to Bacteria, Algae, and Zooplankton

EPA Grant Number: R831721
Title: Short-term Chronic Toxicity of Photocatalytic Nanoparticles to Bacteria, Algae, and Zooplankton
Investigators: Huang, C. P. , Cha, Daniel K. , Ismat, Shah S.
Institution: University of Delaware
EPA Project Officer: Aja, Hayley
Project Period: October 1, 2005 through September 30, 2007
Project Period Covered by this Report: October 1, 2005 through September 30, 2006
Project Amount: $334,881
RFA: Exploratory Research to Anticipate Future Environmental Issues: Impacts of Manufactured Nanomaterials on Human Health and the Environment (2003) RFA Text |  Recipients Lists
Research Category: Nanotechnology , Human Health , Safer Chemicals

Objective:

The overall goal of this research project is to study the short-term toxicity of photocatalytic TiO2 nanoparticles on three aquatic organisms: bacteria, algae, and zooplankton. The specific objectives of this research project are to: (1) determine the acute toxicity of photocatalytic nanoparticles to a mixed bacterial culture; (2) discover the short-term chronic toxicity of photocatalytic nanoparticles to a pure bacterial culture of Escherichia coli; (3) establish the short-term chronic toxicity of photocatalytic nanoparticles to Ceriodaphnia dubia; (4) find out the short-term chronic toxicity of photocatalytic nanoparticles to Selenastrum capricornutum (new name: Pseudokirchneriella subcapatitata); (5) determine the short-term chronic toxicity of copper(II) to S. capricornutum in the presence of photocatalytic nanoparticles; (6) establish the short-term chronic toxicity of chlorinated phenols to E. coli and C. dubia in the presence of photocatalytic nanoparticles; and (7) discover the short-term toxicity of photocatalytic nanoparticles to freshwater algal assemblages.

Progress Summary:

Exposure and Responses of Bacteria to Photocatalytic TiO2 Nanoparticles

A total of three bacteria species including two Gram-negatives (E. coli TB1 and K12 strains) and one Gram-positive (Bacillus subtilis)were studied. The experimental conditions included: (1) primary particle size; (2) particle concentration; and (3) light source. The following TiO2 nanoparticles were used: P25 Degussa (75% anatase, 25% rutile, 30 nm), R5 Reade (99% anatase, 4 nm), R10 Reade (99% anatase, 3 nm), and U100 (University of Delaware, 75% anatase, 25% rutile, 55 nm). The concentration studied ranged from 1-1,000 mg/L. The number of viable cells in cell suspensions that were subjected to the light and dark treatments was determined by plating serially diluted suspensions onto Luria-Bertani agar plates. The E. coli cultures were incubated at 37°C and B. subtilis cultures at 30°C for 24 hours, and then the numbers of colonies on the plates were counted using a Fisher Acculite 133-8002 model colony counter. To reveal the mechanism of the toxic effect, we also used two enzymatic measurements to assess the metabolic changes of the bacteria exposed: lipid peroxidation and cellular respiration. Lipid peroxidation was determined by monitoring the formation of malondialdehyde (MDA) following the methods described in Maness, et al. (1999) and Esterbauer, et al. (1990). The method was based on the assumption that oxidation of membrane lipids will form MDA (i.e., the more MDA produced, the more stress was caused by exposure to nanoparticles). Cellular respiration was determined by monitoring the reduction of 2,3,5-triphenyltetrazolium chloride (TTC) to 2,3,5-triphenyltetrazolium formazan (TTF) according to Maness, et al. (1999) with minor modifications. It is assumed that greater stress generated more TTF. The morphological changes of the affected bacterial cell also were observed using the scanning electron microscopy (SEM) technique.

Figures 1 (TB1) and 2 (K12) show the dose-response of E. coli under dark conditions. Results indicated that E. coli K12 appeared to be more resistant to the nanoparticles than E. coli TB1 and that the LC50 value was extremely small (i.e., less than 1 mg/L).

Figure 1. Effect of the TiO2 Particle Size on the Die-Off of TB1- E. coli Under Dark Conditions

Figure 2. Effect of the TiO2 Particle Size on the Die-Off of K12- E. coli Under Dark Conditions

Figure 3 shows the effect of particle size on the dose-response of E. coli TB1. Results showed that for the smaller particles (i.e., R5 [4 nm] and R10 [3 nm]) a smaller concentration was enough to cause damage to the bacteria, whereas for the larger particles (i.e., P25 [30 nm] and U100 [55 nm]) a larger concentration was necessary to damage the cell.

Figure 3. The Effects of Various Nanoparticles on the Die-Off of E. coli TB1

Figure 4 shows the generation of MDA in the presence and absence of light. Results clearly indicated that the MDA production rate significantly increased in the presence of light when photocatalytic reaction took place. Figures 5 and 6 show the k and Ym values of TTC reduction under dark and light conditions. The k and Ym values were fitted from a Monod-type equation, where k is equivalent to the EC50, and Ym represents the maximum reduction rate of TTC. Results clearly indicated the effect of photocatalytic reaction on the respiration capacity of the bacteria.

Figure 4. The Effects of TiO2 on MDA Formation in E. coli Cells Under Dark and Light Conditions

     

Figure 6. The Maximum Reduction of TTC

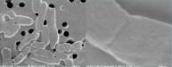
Figure 7 shows SEM images of E. coli in the absence of TiO2, in the presence of TiO2 at 100 mg/L under dark conditions, and in the presence of TiO2 (100 mg/L) under light. The left panels of each image represent zoom-in and the right panels zoom-out images. Results clearly demonstrated the damage incurred by the cell surface from the TiO2 nanoparticles.

(a) (b) (c)

Figure 7. SEM Images of E. coli (a) With No TiO2 Treatment, (b) With 100 mgL-1 P25 TiO2 Treatment Under Dark, and (c) With 100 mgL-1 P25 TiO2 Treatments Under Light

Exposure and Responses of Algae to Photocatalytic TiO2 Nanoparticles

Figure 8 shows the cell density as a function of P25 concentration (mg/L). Results clearly indicated that the cell density decreased with an increase in P25 concentration. Figure 9 is a plot of MDA production per cell (i.e., nmole MDA/cell) as a function of particle size. Results indicated that as the particle size increased, unit cell MDA production (nmole/cell) increased slightly. There was a jump in unit MDA production rate at a particle size of 30 nm. Figure 10 is the plot of chlorophyll production per cell (μg Chla/cell) as a function of particle size. Results indicated, however, that the unit chlorophyll production was independent of the particle size.

Figure 8. Normalized Cell Counts (Relative to the Control) as a Function of Log Concentration of P25

Figure 9. Rate of MDA Production Per Algal Cell as a Function of Particle Size. Error bars are ± 1 standard deviation.

Figure 10. Chlorophyll Density Per Cell (Chla/cell) as a Function of Particle Size. Error bars are ± 1 standard deviation.

Figures 11 and 12 show SEM images of algae in the absence and presence, respectively, of TiO2 particles. Results indicate that TiO2 particles become adsorbed onto the surface of the algal cell. Separate measurement of the adsorption of TiO2 particles showed that the algae carried 2.3 times their own weight in TiO2 particles on the surface.

Figure 11. SEM Images of Algae P. subcapatitata in the Absence of TiO2 Particles

Figure 12. SEM Image of Algae P. subcapatitata in the Presence of TiO2 Particles

Exposure and Responses of Daphnia to Photocatalytic TiO2 Nanoparticles

Table 1 shows the lowest observed effect concentration (LOEC), no observed effect concentration (NOEC), LC50, and 95 percent confidence of LC50 values of P25 35-55 nm, P25 100-150 nm, and P25 300-500nm.

Table 1. Summary of Effect of Particle Size on 24-Hour Acute Tests

Unit: mg/L  

95% Confidence Limits

 

Particle

LC50

Lower

Upper

NOEC

LOEC

P25 35-55 nm

204.3

103.6

308.6

>10

10

P25 100-150 nm

221.7

129.2

333.2

10

30

P25 300-500 nm

454.2

314.2

656.7

60

100

Figure 13. Relationship Between Particle Size and LC50 From 24-Hour C. dubia Acute Test. Particle sizes were calculated by geometric mean.

Figure 13 shows the relationship between particle size and LC50 value. Results indicated that the smaller particles were more toxic than the larger ones and that the survival rate of C. dubia in P25 decreased when the concentration increased from 100 to 1,000 mg/L. The survival rate of C. dubia in Reade 5 only decreased in the range of 800 to 1,000 mg/L. Table 2 shows the first 24 hours LOEC, NOEC, LC50, and 95 percent confidence of LC50 of C. dubia. When particle size decreased from 30 (P25) to 5 nm (Reade 5), LC50 values also decreased from 810 to 683 mg/L. This means that the smaller particles have an effect on the survival of C. dubia in lower concentrations than larger particles.

Table 2. Summary of the Effect of Particle Size on First 24 Hour Chronic Tests

Unit: mg/L  

95% Confidence Limits

   
 

LC 50

Lower

Upper

NOEC

LOEC

Reade 5

683.4

298.8

4774.7

60

100

P25

810.9

429.9

2780.9

100

200

Table 3 shows results of the 7-day chronic reproduction tests of C. dubia. When concentrations increased from 0.1 to 1,000 mg/L, reproduction rates of C. dubia in Reade 5 and P25 decreased from 20.3 and 24, respectively, to 0 neonates per adult. When particle size decreased from 30 to 5 nm, IC50 also decreased from 39 to 14 mg/L. The LOEC and NOEC values of Reade 5, however, were higher than those of P25. This means P25 started to have an effect on reproduction at a lower concentration than Reade 5, but when concentration increased, Reade 5 had a greater effect on reproduction than P25. Figures 14 and 15 show SEM images taken of C. dubia in the absence and presence of TiO2 particles.

Table 3. Summary of Effect of Particle Size on 7-Day Chronic Tests

Unit: mg/L

95% Confidence Limits

 >  
 

IC50

Lower

Upper

NOEC

LOEC

Reade 5

14.4

5.8

35.6

10

20

P25

39.1

21.8

6.9

< 0.1

0.1

Results clearly show that the carapace of daphnia was covered with TiO2 particles and that particles seemed to be embedded in the shell (Figure 15c).

(a) (b) (c)

Figure 14. SEM Images of C. dubia Neonate in Dilution Water After 12 Hours (a) Whole Body; (b) General View of Carapace; and (c) Closer View of Carapace

(a) (b) (c)

Figure 15. SEM Images of greater than 24 Hours C. dubia Neonate in the Presence of TiO2
(100-mg/L P25 ) After 12 Hours (a) Whole Body; (b) General View of Carapace; and (c) Closer View of Carapace

Future Activities:

During Years 2 and 3, work will focus on the mechanism of the killings, growth inhibition, or inhibition of reproduction of the organisms in the presence of TiO2. Techniques such as glutathione S-transferase enzyme activity will be used to evaluate the response of bacteria to photocatalytic nanoparticles. Another issue that needs to be resolved is the particle size. Although results so far seem to indicate that the primary particle size clearly determines the toxic effect of the nanoparticles, the particles tend to aggregate in the growth media. Much effort will focus on studying the characteristics of particle aggregation.

Journal Articles:

No journal articles submitted with this report: View all 9 publications for this project

Supplemental Keywords:

ecotoxicity, nanoparticles, TiO2, photocatalysis, E. coli TB1, E. coli K12, B. subtilis, Pseudokirchneriella subcapatitata, Ceriodaphnia dubia, bacteria, algae, zooplankton,, RFA, Scientific Discipline, Ecosystem Protection/Environmental Exposure & Risk, Water, algal blooms, Aquatic Ecosystem, Aquatic Ecosystems & Estuarine Research, Ecological Risk Assessment, Environmental Chemistry, Ecology and Ecosystems, Environmental Monitoring, nanoparticles, water quality, bioassessment, nanotechnology, ecosystem response, aquatic ecotoxicity, zooplankton, aquatic ecosystems, bacterial biomass

Relevant Websites:

http://www.ce.udel.edu/~huang Exit

Progress and Final Reports:

Original Abstract
  • 2006
  • Final Report
  • Top of Page

    The perspectives, information and conclusions conveyed in research project abstracts, progress reports, final reports, journal abstracts and journal publications convey the viewpoints of the principal investigator and may not represent the views and policies of ORD and EPA. Conclusions drawn by the principal investigators have not been reviewed by the Agency.

    Project Research Results

    • Final Report
    • 2006
    • Original Abstract
    9 publications for this project
    2 journal articles for this project

    Site Navigation

    • Grantee Research Project Results Home
    • Grantee Research Project Results Basic Search
    • Grantee Research Project Results Advanced Search
    • Grantee Research Project Results Fielded Search
    • Publication search
    • EPA Regional Search

    Related Information

    • Search Help
    • About our data collection
    • Research Grants
    • P3: Student Design Competition
    • Research Fellowships
    • Small Business Innovation Research (SBIR)
    Contact Us to ask a question, provide feedback, or report a problem.
    Last updated April 28, 2023
    United States Environmental Protection Agency

    Discover.

    • Accessibility
    • Budget & Performance
    • Contracting
    • EPA www Web Snapshot
    • Grants
    • No FEAR Act Data
    • Plain Writing
    • Privacy
    • Privacy and Security Notice

    Connect.

    • Data.gov
    • Inspector General
    • Jobs
    • Newsroom
    • Open Government
    • Regulations.gov
    • Subscribe
    • USA.gov
    • White House

    Ask.

    • Contact EPA
    • EPA Disclaimers
    • Hotlines
    • FOIA Requests
    • Frequent Questions

    Follow.